Company Logo
SIGN UP LOGIN
Refine Search

52 Veterans ( Highway E ) Drive , De Soto, MO 63020

$9,500
  • 52 Veterans ( Highway E ) Drive , De Soto, MO 63020 Main Photo

2 Total Photos [Click to View All]

Active
LOT SIZE 0.380 acres MLS#26005575
STATUSActive PROPERTY TYPELand - Residential SUBDIVISIONOLD TOWN SCHOOLDesoto 73

Property Description

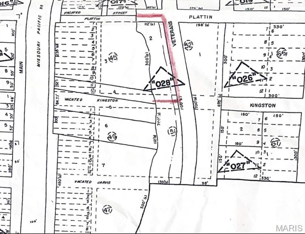
PROPERTY FRONTS STATE HIGHWAY E ( VETERANS DRIVE ) ALSO NEAR THE NEW AMTRAK RAILROAD TRAIN STATION COMING TO DESOTO. THIS WOULD MAKE A GREAT SIGN LOCATION, OR BILLBOARD PROPERTY WITH HIGH TRAFFIC COMING FROM BOTH DIRECTIONS. PART OF THIS PROPERTY WAS SOLD TO THE CITY OF DESOTO FOR THE DEWITT STREET CONNECTOR BRIDGE ALONG STATE HIGHWAY E OR VETERANS DRIVE. PROPERTY HAS A LARGE 300 FOOT FRONTAGE, PLUS PART OF A VACATED STREET (PLATTIN STREET). MANY CARS ARE PASSING THRU DESOTO DAILY, AND ALWAYS HAS CONSTANT LOCAL TRAFFIC GOING BY THIS VISIBLE PROPERTY. ITS A PRIME LOCATION. OWNER-BROKER PROPERTY FOR MANY YEARS. PULL UP MAP, AERIAL, AND PARCEL ON LISTING.

52 Veterans ( Highway E ) Drive | MLS# 26005575

This land located at 52 Veterans ( Highway E ) Drive , De Soto, MO 63020 is currently listed for sale with an asking price of $9,500. The property has approximately 0.38 Acres. Veterans ( Highway E ) Drive is located within the Desoto 73 school district. Search De Soto real estate on www.redkeystlouis.com today.

Property Features

Property Type: Land - Residential
Lot Size: 0.38 Acres
Taxes: $25

Feature Descriptions

Days on Site: 29
Fencing: Other
Lot: Waterfront
Parcel#: 24-1.2-02.1-2-028-002

Local Schools

High School: Desoto Sr. High
Middle School: Desoto Jr. High
Elementary School: Vineland Elem.
School District: Desoto 73

Listed By / Shown By

Listed By

Agency Name: Dan Cerone Real Estate

Shown By

Agency Title: RedKey Realty Leaders
Agency Phone: 314-692-7200

IDX logo

Estimate Your Payment

Estimated Payment

$ 56.61 per month $51.76 Principal & Interest $2.08 Property Tax $2.77 Homeowner's Insurance

Change Payment Information

%
years/fixed
yearly
yearly (est.)
(Payments are an estimate and may vary by lender)

David Ames, Sales Manager, NMLS #738479

Login to My Homefinder

Pixel