Company Logo
SIGN UP LOGIN

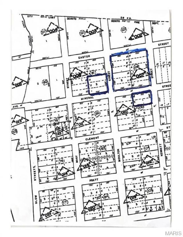
100 Kennett Street, De Soto, MO 63020

$19,000
  • 100 Kennett Street, De Soto, MO 63020 Main Photo

3 Total Photos [Click to View All]

Active
LOT SIZE 0.354 acres MLS#25071108
STATUSActive PROPERTY TYPELand - Residential SUBDIVISIONOLD TOWN SCHOOLDesoto 73

Property Description

POSSIBLE LAND ASSEMBLAGE OPPORTUNITY, BUILD ON THESE TWO CITY LOTS WITH UTILITIES, PLUS THE ENTIRE CITY BLOCK ADJOINING WITHIN THE CITY LIMITS OF DESOTO. 93,940 SQ, FT. 300X301X327X369 PARCELS 24120224002001 AND 24120224007002. ITS APPROX 109,379 SQ. FT. OF LAND WITH THE POTENTIAL OF A 60 FOOT CITY STREET EXTENSION COMING TO PROPERTY, OR A LONG DRIVEWAY. PULL UP MAP, AERIAL, OR PARCEL ON TOP OF LISTING. OWNER-BROKER PROPERTY FOR MANY YEARS.

100 Kennett Street | MLS# 25071108

This land located at 100 Kennett Street, De Soto, MO 63020 is currently listed for sale with an asking price of $19,000. The property has approximately 0.35 Acres. Kennett Street is located within the Desoto 73 school district. Search De Soto real estate on www.redkeystlouis.com today.

Property Features

Property Type: Land - Residential
Lot Size: 0.35 Acres
Taxes: $54

Feature Descriptions

Days on Site: 133
Lot: City Lot, Heavy Woods, Sloped
Lot Dimensions: 103X102X150X150
Parcel#: 24120224010001
Sewer: Public Sewer
Water: Public

Local Schools

High School: Desoto Sr. High
Middle School: Desoto Jr. High
Elementary School: Vineland Elem.
School District: Desoto 73

Listed By / Shown By

Listed By

Agency Name: Dan Cerone Real Estate

Shown By

Agency Title: RedKey Realty Leaders
Agency Phone: 314-692-7200

IDX logo

Estimate Your Payment

Estimated Payment

$ 113.56 per month $103.51 Principal & Interest $4.50 Property Tax $5.54 Homeowner's Insurance

Change Payment Information

%
years/fixed
yearly
yearly (est.)
(Payments are an estimate and may vary by lender)

David Ames, Sales Manager, NMLS #738479

Login to My Homefinder

Pixel